15 Dic 2025
12.8 C
Nueve de Julio

Cortes de energía programados

LUNES 15, MARTES 16 Y MIÉRCOLES 17: de 10 a 16hs.

En los días y horarios mencionados la empresa TRANSBA S.A realizará tareas de mantenimiento en la línea de alta tensión. Razón por la cual le solicitamos a la comunidad en general, principalmente al SECTOR INSDUTRIAL reducir al mínimo posible el consumo de energía eléctrica para evitar cortes generales del suministro en toda la ciudad.

LUNES 15, MARTES 16 Y MIÉRCOLES 17: de 11 a 15hs.

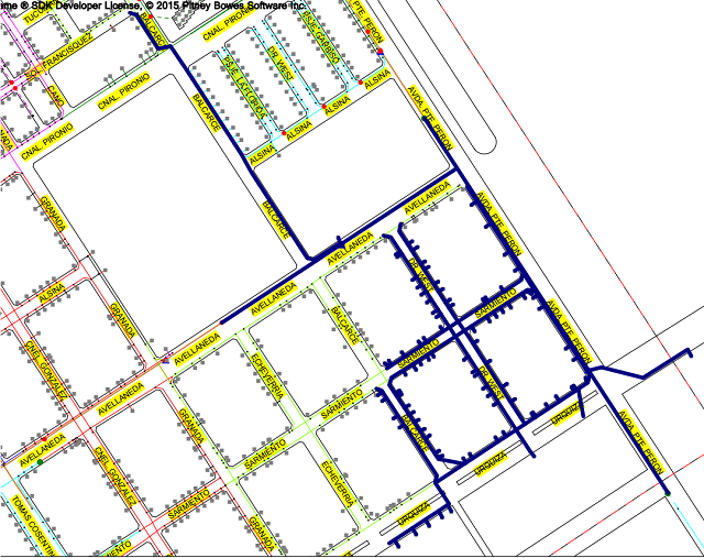
Comunicamos que durante los días y horarios mencionados habrá cortes de energía eléctrica en las zonas que se detallan a continuación en los siguientes planos:

Los horarios mencionados pueden variar de acuerdo a posibles imprevistos que puedan surgir durante la tarea a realizar por la empresa TRANSBA S.A.

Desde ya, pedimos disculpas por las molestias ocasionadas.

Últimas noticias

El Editorial del Lobo

La Alianza en las Sombras: Consumada Tal como adelantamos en nuestra editorial anterior, bajo el título “La Alianza en las Sombras”,...

Noticias relacionadas